
김해 대동성고분박물관이 2017. 11. 27~12. 29 1차, 그리고 2018. 4. 12~7. 24 2차에 이르는 두 차례 양동산성 발굴성과를 정리한 발굴보고서 《김해 양동산성 집수지 유적》을 근자 발간했다.
카카오맵
당신을 좋은 곳으로 안내 할 지도
map.kakao.com
김해시 주촌면 양동리 산39-1번지 일원에 소재하는 양동산성良洞山城은 해발 333미터 산 정상을 에워싼 테뫼식 석축산성(경상남도기념물 제91호)으로 성벽 둘레는 860미터라량이다. 남쪽으로 양동리고분군과 옛 김해만 일대를 조망하며, 동쪽으로는 분산성 주변, 서쪽으로는 진례멸 일대를 바라보는 자리에 위치한다.


조선후기 고문서에서는 가곡산성歌谷山城이라 했지만 한때 내삼리 구역에 편입되어 내삼리산성內三里山城이라도도 했다가 지금은 지역을 따서 저리 부른다.
1998년 동아대, 2006년 경남문화재연구원이 각각 지표조사를 했고, 2008년에는 동아세아문화재연구원에서 시굴조사를 한 결과 집수지集水池 1기와 체성體城, 문지門址를 확인했다. 이번 조사는 이를 바탕으로 하는 학술조사다. 2018년 문화재위원회 매장문화분과회의 결정 사항에 따라 집수지를 이등분하고 그 동쪽 170제곱미터만을 대상으로 해서 발굴조사를 벌인 성과를 정리한 것이니, 이때 조사에서 목간 3점을 수습했다.

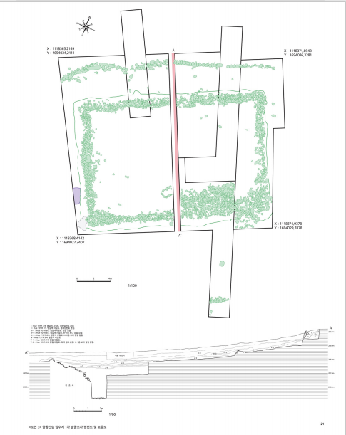
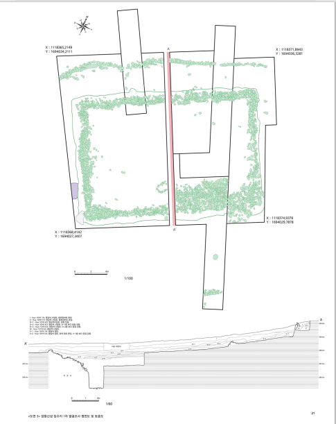
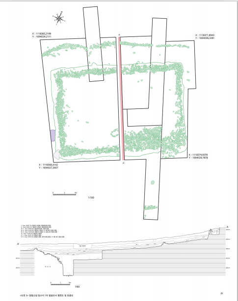
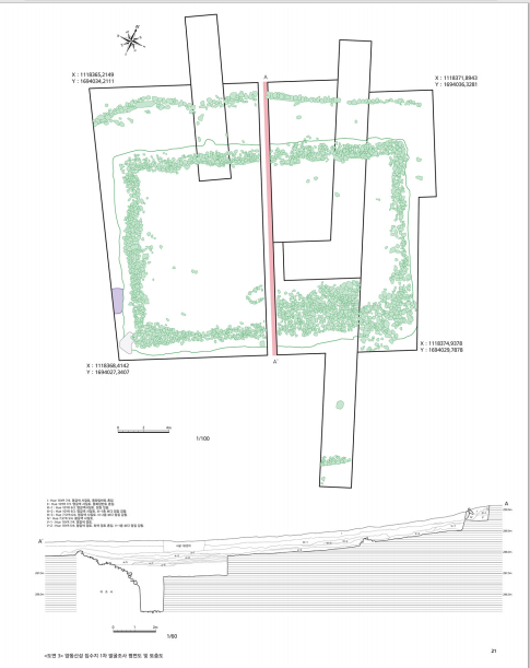
문제의 집수지는 제일 윗면 기준으로 길이 22.2미터, 너비 15.5미터, 최대깊이 3.4미터인 평면 장방형이고 호안석축護岸石築은 3단으로 쌓았다. 말할 것도 없이 제일 아래 1단 기준으로 하면 저보다 좁아진다.
이번 발굴성과를 보고서는 다음과 같이 정리한다. 보고서 맺음말을 전재한다.




양동산성 집수지 발굴조사는 문화재청 매장문화재분과회의의 의견을 수용하여, 집수지를 동서로 이등분한 후 동쪽 170㎡ 만을 대상으로 조사하기로 결정하여 내부조사를 진행 하였기에 전체 집수지 현황 파악에는 어려움이 있었다. 따라서 이번 조사성과를 요약 정리하여 맺음말로 대신하고자 한다.
1. 양동산성은 양동리고분군과 유하패총을 비롯하여 남해에서 관동-칠산동-양동리-망덕리고분군 등 가야의 중요 집단으로 가는 항로를 조망하기 좋은 곳에 위치하고 있다.
2. 양동산성 집수지는 평면은 장방형을 띠며 호안석축은 3단계의 계단식 구조이다. 동서 내벽 길이 약 20.0m, 남 · 북 내벽 길이 약 12.2m 최대 깊이 약 3.4m로 영남권에서는 최대급에 해당한다.



3. 영남지역에서 평면형태가 장방형인 집수지는 양동산성 외에 거창 거열산성, 창녕 화왕산성이 있으며 원형과 방형의 수가 장방형보다 많은 편이다. 이중 화왕산성 집수지에서 5세기 후반대의 토기들이 확인되어 시기적으로 가장 빠르다. 양동산성 집수지는 성벽과 문지에서 백제와 신라의 혼합적인 요소가 확인되고 집수지의 축조방법 역시 전형적인 신라 집수지와 다르다. 따라서 양동산성 집수지의 평면형태가 장방형으로 삼국통일을 전후한 시점의 과도기적 단계에 나타나는 형태로 볼 때, 비록 532년 금관가야가 멸망하였지만 구형왕이 김해를 녹읍으로 하사받은 것에서 재지세력의 영향력이 일정기간 지속된 점 등을 통해 양동산성 집수지는 금관가야 멸망 이후에 만들어진 것으로 판단된다.





4. 양동산성 집수지 축조시기를 특정할 만한 토기가 확인되지 않았지만, 양동산성의 축조시기가 6세기로 추정되는 점, 양동산성 호안석축에서 수습된 타날문 호편에서 평행문과 승문이 나타나는 점으로 6세기대 이전 시기에 축조 되었을 가능성이 있다.
5. 이번 조사에서 김해 봉황동 저습지유적에 이어 두 번째로 목간이 조사되었다. 봉황동 저습지 유적에서는 논어의 구절이 4면에 적힌 목간 1점이 출토되었다. 양동산성 집수지에서는 1면에만 묵서한 목간 3점이 출토되었으며 1점이 묵서가 희미하게 남아 있다. 보존처리 후 목간 내용을 판독한 결과 辛卯年十月栗村爲(百)□□□麦石으로 관찰되며, 양동산성으로 운송한 곡물 꾸러미에 부착된 짐 꼬리표로 확인되었다. 점 꼬리표에 적혀있는 글자의 기재 방식이 마을이름+사람이름+곡물이름 순으로 적은 함안 성산산성 부엽층에서 출토된 목간의 기재 방식과 비슷하다. 또한 양동산성에 적힌 '栗村" 이라는 마을 이름이 함안 성산산성에서도 발견되었으므로 두 유적의 목간을 검토하여 연구할 필요가 있다.


6. 집수지 내부에서 국자, 절구공이, 바가지, 소쿠리, 짚신 등 고대의 생활 목기와 짚풀 공예품이 출토되었다. 이러한 생활목기나 짚풀공예품이 김해에서 확인된 예는 매우 드물기 때문에 양동산성 집수지에서 출토된 자료는 6~7세기대 김해인의 생활상을 알 수 있는 자료이다.
7. 마지막으로 양동산성 집수지유적에서는 기와가 발굴되지 않았다는 점이 특이하다. 이것은 집수지의 사용 기간이 길지 않았다는 것을 의미한다고 볼 수 있다.
이번 양동산성 집수지 1,2차 학술발굴조사는 가야멸망 이후 김해를 식읍으로 받은 구형왕과 신라와의 정치적 이해 관계 및 당시 생활상을 알 수 있는 중요한 자료이다. 따라서 향후 나머지 부분에 대한 정밀 조사를 진행하여 양동산성 집수지에 대한 정확한 성격 파악과 산성에 대한 명칭 검토 등 체계적인 학술적 연구가 필요할 것으로 판단된다.

'NEWS & THESIS' 카테고리의 다른 글
| 새로 드러난 능산리 백제고분(2016) (0) | 2020.09.22 |
|---|---|
| 도로아미타불로 가는 영국을 보며... (0) | 2020.09.22 |
| 2017 평양 외곽 보성리 고구려 벽화고분 발굴 (0) | 2020.09.21 |
| 13년(2008년~2020년)의 각고 끝에 《역주 당송팔대가문초》 완간되다 (0) | 2020.09.17 |
| Auba Stays at Emirates (0) | 2020.09.16 |
댓글